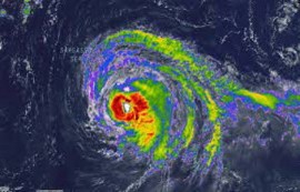
HAMILTON, Bermuda – The Bermuda government issued a high surf warning and urged residents to stay safe and off the roads on Thursday night ahead of powerful Hurricane Fiona, which is barreling towards the British Overseas Territory.
All Stories
BRIDGETOWN, Barbados – The Barbados-based Caribbean Institute for Meteorology and Hydrology (CIMH) Monday warned that with the increase in temperatures in the region, the outlook for the coming months is not promising for the Caribbean’s reefs as widespread bleaching conditions are expected.
BRIDGETOWN, Barbados – Environment and National Beautification Minister, Adrian Forde, is drawing a parallel between illegal dumping at sea and the proliferation of sargassum seaweed.
NASSAU, Bahamas – Regional leaders open a two-day meeting here on Tuesday hoping to devise a regional position on climate change mitigation ahead of COP 27, which will take place in Sharm El-Sheikh, Egypt, November 16-17.
BRIDGETOWN, Barbados – A strengthening Hurricane Fiona is moving away from the Turks and Caicos Islands (TCI) on Wednesday and is expected to approach Bermuda late on Thursday after leaving a trail of death and destruction in the Dominican Republic, Puerto Rico and the TCI.
KINGSTON, Jamaica – The Jamaican government has signaled its intention to legislate the Deposit Refund Scheme for plastic bottles by the end of this financial year, saying that it will boost the effort to improve the country’s environmental and waste management thrust.
WASHINGTON, DC – Grenada’s former environment minister Simon Stiell is set to head the United Nations Framework Convention on Climate Change (UNFCCC), regional and international media reported on Friday.
SAN JUAN, Puerto Rico – The Governor of Puerto Rico, Pedro Pierluisi on Sunday said that the entire island is now without electricity as residents brace for the impact of the Category 1 storm, Hurricane Fiona.
BRIDGETOWN, Barbados – The Barbados-based Caribbean Development Bank (CDB) says it is supporting an initiative to implement climate-adaptive aquaponics farming and strengthen Micro Small and Medium-sized Enterprises (MSMEs) in five CARICOM countries.
KINGSTON, JAMAICA - Over 75 volunteers, mobilised by the GraceKennedy Foundation (GKF) and its partners, gathered at Sirgany Beach in East Kingston on July 16, 2022, to remove 1,092 pounds of solid waste from the shoreline.
BRIDGETOWN, Barbados –Residents in the Leeward Islands were on Friday bracing themselves for the passage of Tropical Storm Fiona that is expected to bring heavy rains and maximum sustained winds of 50 miles per hour (mph).
BELMOPAN, Belize – A senior government official is predicting that the Belize government will not support moves by the United States-based international mining company, Vulcan Materials to acquire lands here.
KINGSTON, Jamaica – The Jamaican government says it is taking a structured, systematic approach to protect the Rio Cobre river from further chemical spills, after the latest spill of caustic effluent from the bauxite and alumina company, Windalco, resulted in a fish kill, affecting several species and also impacting other aquatic organisms.















