Hurricane Lee Will Pass West of Bermuda By Friday
HAMILTON, Bermuda – Residents in Bermuda were keeping an eye on the passage of Hurricane Lee, the large and powerful storm that is expected to pass west of the island on Friday.
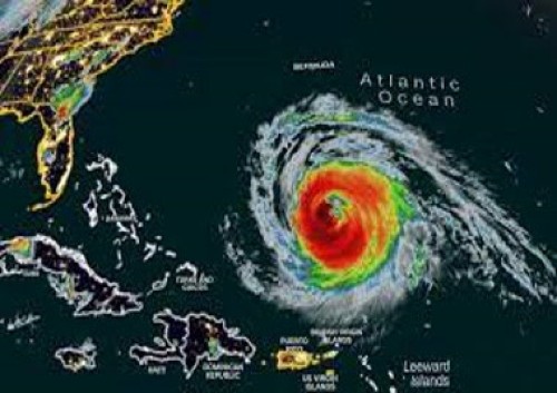
Officials of the Emergency Measures Organisation (EMO) met to assess the impact on Bermuda from the hurricane that is 575 miles south of the British Overseas Territory.
The EMO said that members of the community should prepare for a range of weather-related effects from Thursday through Friday and that may include sustained tropical storm-force winds accompanied by gusts, hazardous surf conditions, swells, rip currents, turbulent seas, heavy showers and thunderstorms.
“We urge the public to remain vigilant and take proactive measures to prepare their homes and properties. Residents should have used this past weekend to prepare and secure their homes. If you have not done so, then now is the time to complete those preparations so that you are ready for Hurricane Lee,” said Lieutenant-Colonel David Burch, the Acting Minister of National Security.
In its latest bulletin, the Miami-based National Hurricane Center (NHC) said Hurricane Lee remains a “large and powerful Hurricane” with maximum sustained winds of 115 miles per hour (mph).
It said interests in Bermuda should monitor the progress of Lee and that hurricane watches could be required for Bermuda later today.
According to the NHC, Lee is moving toward the west-northwest near seven mph and that a slow west-northwest to northwest motion is expected during the next day or two, followed by a turn toward the north by midweek.
“On the forecast track, Lee is expected to pass near but to the west of Bermuda in a few days,” the NHC said, adding that Hurricane Lee is a category 3 hurricane on the Saffir-Simpson Hurricane
It said while gradual weakening is forecast during the next few days, Lee is a large hurricane and that swells generated by the storm are affecting portions of the Lesser Antilles, the British and U.S. Virgin Islands, Puerto Rico, Hispaniola, the Turks and Caicos Islands, the Bahamas, and Bermuda.
“These swells are likely to cause life-threatening surf and rip current conditions,” the NHC added.


